
Checco Zalone lancia il nuovo brano "La prostata inflamada": il videoclip che anticipa il film "Buon Camino"
Cronaca sabato 17 agosto 2024 ore 10:35
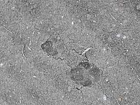
Nuovo avvistamento di un lupo fra le case

L'animale sarebbe stato avvisato in una zona abitata di Venturina Terme con una preda in bocca
CAMPIGLIA MARITTIMA — Un nuovo avvistamento di un lupo a Venturina Terme. Nella segnalazione con lettera firmata su legge che "Stamattina alle 5.30 in via dell'aeroporto a Venturina è stato avvistato da un sig che stava camminando un lupo con un animale in bocca in una zona fra le case. Ha attraversato strada e lasciato impronte ben visibili sul campo proprio di fronte alle abitazioni".
"Ultimamente in zona ci sono state molte scomparse di gatti fra questi il mio. - si legge nella lettera - Come me tante persone erano ignare del pericolo e la zona è molto frequentata da persone che praticano sport la mattina presto e la sera tardi oltre che bambini che stanno tranquillamente in strada la sera o chi porta a passeggio il cane".
"Il lupo è un animale protetto è giusto che lo sia ma forse va trovato il modo di allontanarlo dalle abitazioni. Mi rivolgo a voi con la speranza che la notizia sia diffusa e che chi di dovere prenda dei provvedimenti", si conclude la lettera.
Se vuoi leggere le notizie principali della Toscana iscriviti alla Newsletter QUInews - ToscanaMedia. Arriva gratis tutti i giorni alle 20:00 direttamente nella tua casella di posta.
Basta cliccare QUI












